Proclamation: World Day Against Trafficking Persons

WHEREAS, the July 30th World Day Against Trafficking in Persons was proclaimed by the United Nations General Assembly on December 18, 2013; and

WHEREAS, the Town of Fort Frances would like to raise awareness and educate its citizens about this harmful modern-day slavery which is taking place in every part of the world, and even in our town and communities; and

Public Notice: Request for Tender 2025-OF-12

OPERATIONS AND FACILITIES DIVISION

REQUEST FOR TENDER (RFT) 2025-OF-12

Water Treatment Plant Dechlorination System Construction

 

ELECTRONIC BID SUBMISSIONS ONLY, shall be received by the Tendering System. Hardcopy submissions not permitted.

 

Public Notice: Request for Tender 2025-OF-11

OPERATIONS AND FACILITIES DIVISION

REQUEST FOR TENDER (RFT) 2025-OF-11

Hallett and Owandem Park Construction

 

ELECTRONIC BID SUBMISSIONS ONLY, shall be received by the Tendering System. Hardcopy submissions not permitted.

 

Public Notice: Public Notice: Committee of Adjustment

Public Notice Town of Fort Frances Committee of Adjustment

TAKE NOTICE that a meeting of the Committee of Adjustment for the Corporation of the Town of Fort Frances will be held on Wednesday August 20th, 2025 at 5:30 p.m., in the Committee Room of the Fort Frances Civic Centre to consider the following application submitted under Section 45 of the Planning Act, R.S.O.1990, c. P.13, as amended:

Public Notice: Request for Tender 2025-OF-10

TOWN OF FORT FRANCES

OPERATIONS AND FACILITIES DIVISION

REQUEST FOR TENDER (RFT) 2025-OF-10

Provision of MSW Event Services for the Town of Fort Frances and City of Dryden for 2025

 

ELECTRONIC BID SUBMISSIONS ONLY, shall be received by the Tendering System. Hardcopy submissions not permitted.

 

Proclamation: Proclamation on the 100th Birthday of Clora J. McEvoy

WHEREAS, Clora J. McEvoy (nee Dumeney) was born in Mine Centre on July 5th, 1925, in Thunder Bay; and

WHEREAS, Clora did her patriotic duty working at CanPar during Word War II, assisting in the war effort and after the war moved to Fort Frances; and

WHEREAS, Clora raised a family of seven after her husband was killed in a car accident, attending night school while working during the day in order to complete her secondary education; and

Proclamation: Proclamation of Friendship

WHEREAS, the City of International Falls and the Town of Fort Frances are neighbours and friends; and

WHEREAS, we are neighbors by geography and friends by choice; and

WHEREAS, we have been friends for a very long time and will continue to be friends for a very long time; and

WHEREAS, we are sister cities; and

Public Notice: Property for Sale Public Notice

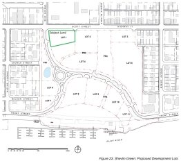
TAKE NOTICE that at its regular Council meeting on June 23, 2025, the Town of Fort Frances has declared part of the property legally described as MCIRVINE LOT 22-24 RIV RGE;PLAN SM43 BLK A & B & SM129;LOT 15 RP 48R3445 PTS 1-3;PCL 15-2, being Lot 1of the proposed subdivision plan which is shown on key map below, surplus to the needs of the municipality.

 

Public Notice: Committee of Adjustment Meeting July 16th, 2025

TAKE NOTICE that a meeting of the Committee of Adjustment for the Corporation of the Town of Fort Frances will be held on Wednesday July 16th, 2025 at 5:30 p.m., in the Committee Room of the Fort Frances Civic Centre to consider the following application submitted under Section 45 of the Planning Act, R.S.O.1990, c. P.13, as amended: